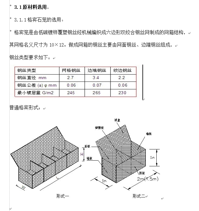
河道整治格宾石笼挡墙护坡施工方案
在河道整治工程中,干砌石或混凝土预制块等传统的河道护岸或护坡,由于不透水,阻断了河道内自然生态系统的循环,不宜适应生态治河的理念。由双绞六边形金属网内填充块石或卵石的格宾石笼挡墙具有抗冲刷能力强、自透水性、整体性强、抗风浪性强等特点,并因其属易于生物栖息的多孔隙结构,随着钢丝防腐技术的日新月异,格宾石笼在生态河道建设应用越来越广泛。
*免责声明:资源来源于网友上传,版权归原作者所有,商用请购买正版,本站仅供交流学习使用,如有侵权请联系删除!
温馨提示:
如果您已经兑换了此文档,则可
,或者点击右上角下载文件按钮进行下载。





